好房網News林美欣/台北報導
強烈颱風山竹持續增強!目前位置在台灣東南方,以每小時23公里速度向西進行,氣象專家彭啟明指出,山竹強度持續增強,「眼睛看來很駭人」!
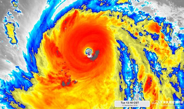
彭啟明在臉書po文指出,山竹「目前核心雲雨帶正在噴發閃電,強度還正在飆升,預估明、後天強度及範圍可達顛峰,相當可觀!」。週五起台灣周遭海域風浪將明顯增強,週六東半部及屏東都要嚴防劇烈風雨。
山竹颱風預估明後天強度達顛峰(圖片:氣象達人彭啟明臉書)
氣象局預報員劉沛滕表示,強颱山竹未來1、2天仍有持續增強可能,以其目前路徑來看,預估周六通過巴士海峽,但有北偏或南偏的空間,若北偏可能發布海上警報。
而在今(11)日上午生成的第23號颱風「百里嘉」則逐漸向西離開台灣附近海域,對台灣沒有直接影響,不過受到外圍環流影響,東半部及恆春半島會有豪雨發生。
颱風山竹颱風動態。(國家災害防救中心)

