中國時報記者陳慰慈/綜合報導
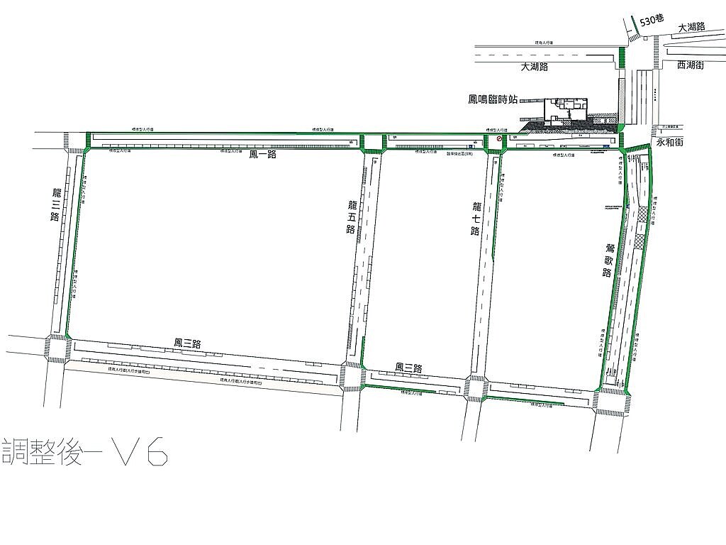
台鐵鶯歌鳳鳴臨時站預計11月完工啟用,採無人簡易站型式管理,新北市交通局於車站周邊200公尺範圍規畫人本通行環境、大眾運輸與私人運具轉乘檢討及規畫設計,車站前提供4條公車路線服務,同時新增計程車排班區和Youbike租賃站,並提供352格車位,以及於車站周邊畫設37.4公尺臨時停車接送空間。
鳳鳴車站因被畫入桃園鐵路地下化計畫,預計2030年完工,行政院2019年定案先於距離鳳鳴車站預定地600公尺處,投入6.1億元打造鳳鳴簡易臨時站。

鳳鳴臨時站體使用易拆除、易回收的建材,設計通風明亮,也會在站內空間添加鶯歌特色意象,臨時站全長約860公尺,月台長度220公尺,寬度為3公尺。
交通局簡任技正吳政諺表示,交通局與交通部鐵道局、養工處及鶯歌區公所等機關,共同規畫並整合鳳一路、鳳三路、鶯歌路、龍三路、龍五路等主要道路的交通設施,打造人行友善系統的聯外交通環境,包括車站前新增公車停靠站,並提供F656、F657、981、265A等4條公車路線服務。
吳政諺說,同時新增計程車排班區和2站Youbike租賃站共60柱,並提供3格大型車位、112格汽車位及237格機車位,另於車站周邊共畫設37.4公尺臨時停車接送空間、增加標線型人行道達1378公尺及新增行人號誌,以確保行人通行安全與提升轉乘便利性。
交通局指出,將於通車前完成交通轉乘配套措施,期使鳳鳴臨時站成為鶯歌區和桃園市八德區重要交通樞紐,提升大家出行安全和便捷交通服務。


