聯合報記者胡瑞玲/台北報導
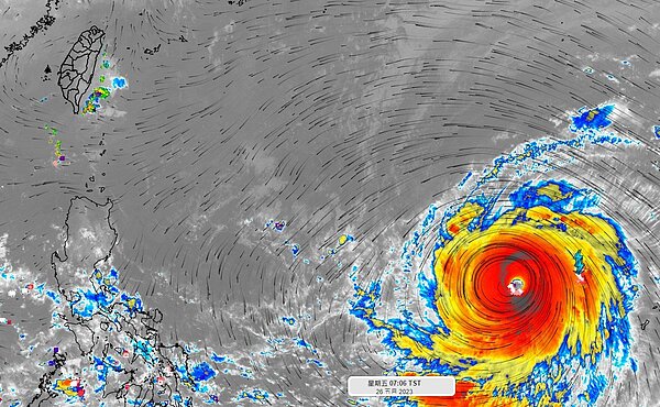
天氣風險公司總經理彭啟明在「氣象達人彭啟明」臉書粉專表示,強烈颱風瑪娃已經增強至頂峰,未來幾天的轉向很關鍵,預測上轉彎的時間、地點及角度仍有落差,周末需要關注,而台灣這兩天將顯著轉炎熱天氣。
他說,周末兩天,由於瑪娃颱風外圍風場的影響,偏東風環境持續且風速增強。東半部雲量較多,偶有短暫陣雨,而西半部則多雲到晴,午後山區有局部陣雨或雷雨。預計氣溫將持續上升,北部最高溫30~32度,中部31~32度,南部31~33度,東部29~30度,局部內陸地區甚至有更高溫出現的可能。

彭啟明說,明晚至周日,隨著瑪娃颱風靠近呂宋島東側,颱風外圍的水氣將被風向帶向台灣。東半部降雨機率將稍有增加,西半部則仍然多雲到晴,午後山區有短暫陣雨。氣溫預計仍將持續上升。
他表示,對於瑪娃颱風的移動路徑,持續關注。特別是周日到下周一,颱風將開始北轉,這將影響台灣的天氣情況。隨著颱風的接近,海邊風浪將增強,需特別留意安全。

