聯合報記者楊德宜/台北報導
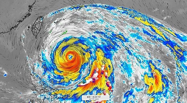
天氣風險公司總經理彭啟明在「氣象達人彭啟明」臉書粉專表示,瑪娃颱風中心距離台灣南端約650公里,減弱為中度颱風,範圍勢力仍大且強,留意今天下半天可能發布的海上颱風警報內容。
他說,瑪娃颱風強度回到中颱等級,但暴風圈較廣,影響時間可能比較久。颱風從東部外海北上,但移動將顯著變慢,會有幾天時間以每小時9公里以下速度北上,強度也將減弱。

彭啟明表示,今天外圍雲系將逐步接近台灣,明天開始會很有感的在東半部有顯著降雨,隨後周三、周四會在東北部到北部,要到周五才會逐步脫離對台灣影響。
他說,熱浪來襲,昨天新北三峽、南部近山區高溫達36度,中度颱風瑪娃接近,下沉氣流顯著,今天桃竹苗地區、中南部仍可能有36度。隨著颱風更靠近,中北部沿岸風力增強,東半部風浪大,避免沿岸活動。南部山區有午後短暫雨,東北角、東半部受颱風影響,短暫雨會變頻繁。
彭啟明表示,明天高溫轉為中部內陸、南部近山區,強風延伸到台南,東半部及北部有陣雨,宜蘭、花蓮有大雨。周三北部、東北部降雨明顯,中南部雲量增多,天氣相對穩定。
他說,周四到周五颱風由東部外海北上,強風持續,降雨區域擴至桃竹、中部山區,山區或沿海活動不宜。周五下半天颱風遠離,天氣好轉,但東、北部長浪情況至少持續至下周一,要注意安全。
中央氣象局說,中度颱風瑪娃今天凌晨2時的中心位置在馬尼拉東北方750公里海面上(鵝鑾鼻東南東方730公里海面上),以每小時10公里速度,向西北進行。中心附近最大風速每秒45公尺,7級風暴風半徑280公里,10級風暴風半徑90公里。

