聯合報記者董俞佳/台北報導
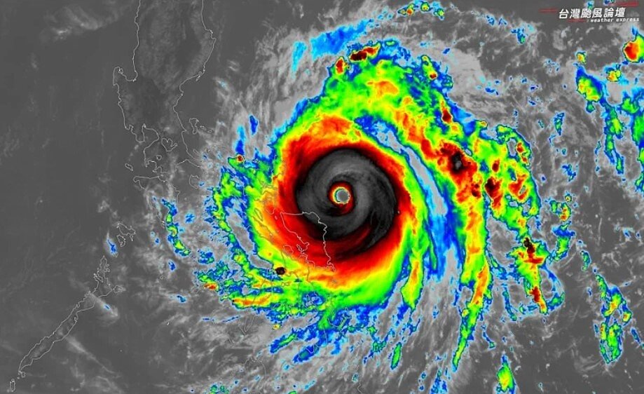
萬宜颱風上午8時增強為強烈颱風,氣象粉專「台灣颱風論壇|天氣特急」表示,已成為今年第6個強烈颱風,目前處於巔峰狀態,有機會挑戰今年的風王。
「台灣颱風論壇|天氣特急」表示,萬宜將朝西北西移動,17日下半天登陸呂宋島,下周一進入南海,繼續朝海南島前進,直接侵襲台灣的機率很低。

雖然萬宜不會直接侵襲,「台灣颱風論壇|天氣特急」表示,但當萬宜抵達菲律賓後,一直到進入南海這段期間,它的外圍水氣會飄到台灣上空,從17日到下周三各地天氣不穩定,有下雨機會,尤其18日東北季風增強,宜蘭、基隆北海岸、大台北、北花蓮位於迎風面,下雨時間長,基隆北海岸、台北東側、宜蘭甚至有強降雨發生的機會。
※以上言論僅供學術討論之用,氣象預報應以氣象署為準。

